症例紹介

骨折・整形外科・犬・猫

整形外科

以前、ネコちゃんの骨折の手術について記事を書きましたが今回はワンちゃんの症例について述べたいと思います。

ネコちゃんの骨折の原因として多いものの一つに交通事故が挙げられます。
家の外に出てしまうネコちゃんは、交通事故に巻き込まれる可能性があるので可能であれば室内飼いにされることをおすすめします。

ワンちゃんの骨折の原因も以前は交通事故が多かったのですが、最近では室内飼いのワンちゃんが増えてきたので、その割合は減少してきています。
代わりに骨折の原因として増えてきているのは、ベッドやソファーから飛び降りた時に起きる骨折や、落下による骨折です。
現在日本では、トイプードルなどの小型犬が人気でその飼育割合が増えてきているので、小型犬の橈尺骨(前足の骨)の骨折が特に多いです。

骨折した骨は、ギブスなどの外固定ではきちんとくっつかなかったり(癒合不全)、曲がって骨がくっつくなどして後遺症が残ってしまうこともあります。
そのため当院では、ギブスなどの外固定で整復できないタイプの骨折に対して金属プレートなどを用いて手術を行っています。

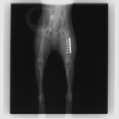
今回紹介する症例は、室内で転んだ際に起きた小型犬の橈尺骨(前足の骨)の骨折と、飼主様が抱っこしてる状態から落下して起きた大腿骨(太ももの骨)の骨折です。

どちらの骨折も金属プレートを用いた手術を実施しました。

最初に紹介する写真は室内で転んで起きてしまった小型犬の橈尺骨(前足の骨)の骨折です。



骨折用の金属プレートを用いた手術によって、整復しました。



次に紹介する写真は、落下して起きてしまった大腿骨(ふとももの骨)の骨折です。



こちらも骨折用の金属プレートを用いて手術を行いました。



どちらの症例も骨折用の金属プレートを用いた手術の後すぐに足を着いて生活できるようになりました。

骨折についての他の記事はこちら
骨折についての他の記事はこちら